Einzigartig & Großzügig: Baugrundstück in Toplage Graz-Andritz/Ziegelstraße

Grundstück zum Kauf in 8045 Graz-Andritz - Kaufpreis: 1.400.000 € / Objektnummer: 16381
Luftbild Ziegelstraße
Grundstück
Grundstück
Grundstück
Fläwi Ziegelstraße
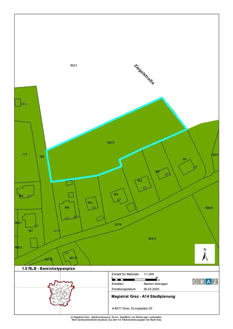
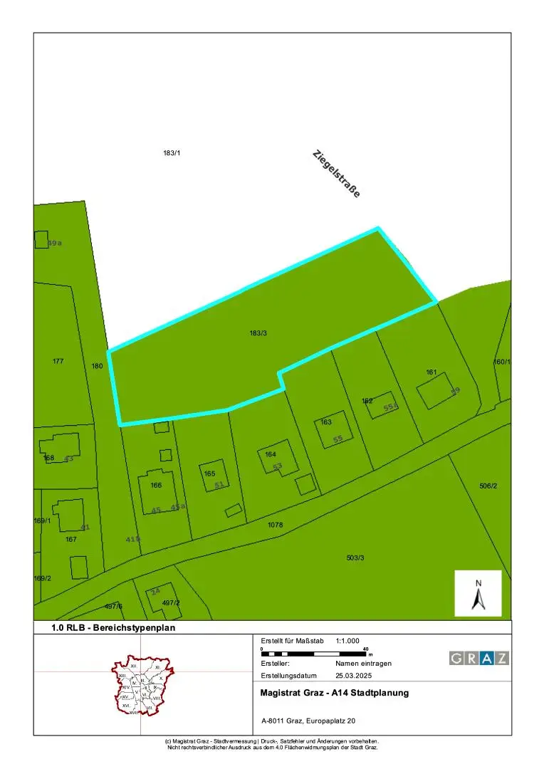
Bebauungsplan
Grüngürtel

Preisinformationen

Kaufpreis:
1.400.000 €
Provision:
3.00 %

Fakten

Objektnummer:
16381
Objekttyp:
Grundstück
Grundstücksfläche:
4.400 m²
Verfügbarkeit:
Verfügbar

Beschreibung

Dieses großzügige Grundstück mit einer Größe von ca. 4.400 m² und einer Widmung Aufschließungsgebiet (WR 0,3-0,4) Nr. 4.08.30.54 liegt in sonniger, grüner Lage in der Ziegelstraße in Graz-Andritz.
Das Grundstück eignet sich aufgrund seiner Lage im beliebten Bezirk Andritz und seiner Beschaffenheit hervorragend für Projektentwickler und Bauträger.

Laut Flächenwidmungsplan 4.0 der Stadt Graz und dem Stadtentwicklungskonzept liegt das Grundstück im Grüngürtel, lt. FLÄWI 4.0 ist kein Bebauungsplan erforderlich.
Das Grundstück kann nach Erfüllung der Aufschließungserfordernisse (z.B. äußere und innere Erschließung, Lärmfreistellung, Klärung der Verbringung der Oberflächen - und Hangwässer, etc.) bebaut werden.

Für Ihre Fragen und einen Besichtigungstermin stehen wir gerne zur Verfügung!

Wir weisen darauf hin, dass es sich bei diesem Preis um einen Richtpreis handelt, der sich aufgrund der Nachfragesituation nach oben oder unten verändern kann, vorbehaltlich Annahme durch den Abgeber.
Ein Haus zu viel, eine Wohnung zu wenig?



Wir helfen gerne!



Wir sind Ihre Immobilienexperten für Graz und Umgebung und suchen für vorgemerkte Interessenten Häuser, Wohnungen und Baugrundstücke! Ebenso bieten wir Ihnen eine kostenlose, seriöse Beratung und eine Bewertung Ihrer Immobilie an.



RE/MAX for all, Conrad-von-Hötzendorf-Straße 37a, 8010 Graz, Tel.: 0316 815 915, Mail: office@remax-for-all.at

Beschreibung weiterlesen

Dokumente

Lageplan

8045 Graz-Andritz | Graz (Stadt)

Lade...
Walter Wieser

Walter Wieser

RE/MAX for all in Graz

Lade...

Fotomix

Luftbild Ziegelstraße Grundstück Grundstück Grundstück Fläwi Ziegelstraße Bebauungsplan Grüngürtel