NEU - Baugrundstück mit angrenzendem Obstgarten

Grundstück zum Kauf in 2733 Grünbach am Schneeberg - Kaufpreis: 139.000 € / Objektnummer: 0001011080
Flächenansicht
Bachlauf
Ansicht
Ansicht
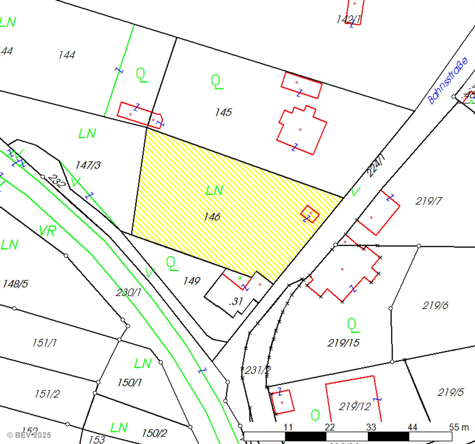
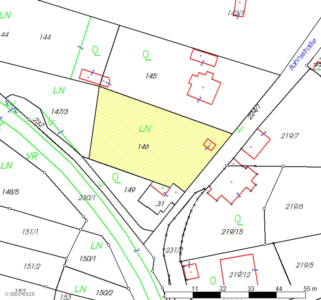
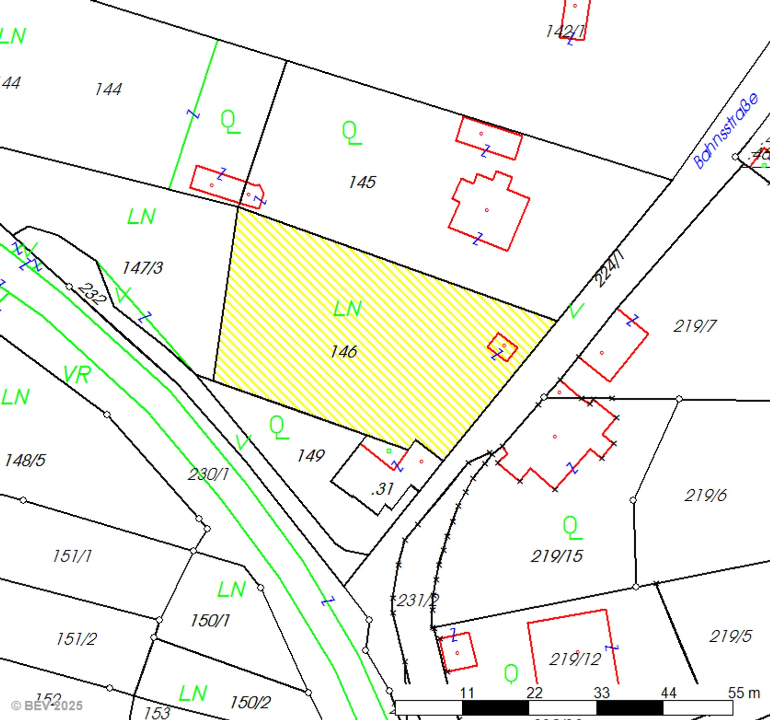
Katasterplan

Preisinformationen

Kaufpreis:
139.000 €
Vermittlungsprovision:
Ja
Provision:
3% des Kaufpreises plus 20% USt.

Fakten

Objektnummer:
0001011080
Objekttyp:
Grundstück
Grundstücksfläche:
2.254 m²
Verfügbarkeit:
Verfügbar

Beschreibung

Baugrundstück mit angrenzendem Obstgarten in zentraler Lage von Grünbach am Schneeberg!


Diverse Anschlüsse befinden sich in der Straße, eine Besonderheit ist der durch das Grundstück fließende Bach, der zur Bewässerung nutzbar ist.


Widmung: Bauland Wohngebiet mit offener Bauweise

Bauklasse: 1-2


Interesse geweckt?

Fordern Sie das unverbindliche Expose mit weiteren Informationen an! Ich freue mich auf eine Besichtigung mit Ihnen.

Beschreibung weiterlesen

Lage und Verkehrsanbindung

Gute Infrastruktur im Ort mit Supermarkt, Schulen, Arzt; Zugverbindung nach Wr.Neustadt.

Grundriss

Thomas Karner

Thomas Karner

Raiffeisen Immobilien Vermittlung Ges.m.b.H

Anrufen
Lade...

Fotomix

Flächenansicht Bachlauf Ansicht Ansicht